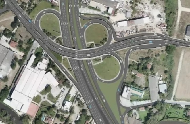
Bursa’da Nilüfer, Osmangazi ve Mudanya ilçelerini birbirine bağlayarak bölgedeki trafik yoğunluğunu önemli ölçüde azaltması hedeflenen Geçit Köprüsü Projesi'nde çalışmalar hız kesmeden devam ediyor. Bu kapsamda, Mudanya Sanayi Yolu Caddesi üzerinde, Nilüferköy ile Geçit mahalleleri arasındaki güzergahta inşa edilen Geçit Köprüsü'nde 20 adet öngerme kirişinin montajı gerçekleştirilecek.
Montaj çalışmalarına 05 Ocak 2026 Pazartesi gecesi başlanacak olup, çalışmaların 5 gece sürmesi planlanmaktadır. Çalışmalar süresince, 00.00 – 06.00 saatleri arasında Mudanya–şehir merkezi istikametindeki yol trafiğe kapatılacaktır.
.jpeg)
Üç ilçeyi birbirine bağlayarak bölgedeki ulaşımı daha güvenli ve akıcı hale getirecek olan proje tamamlandığında, bölgedeki trafik yükünün önemli ölçüde azalması hedeflenmektedir. Sürücülerin, belirtilen saatlerde alternatif güzergâhları kullanmaları önemle rica olunur.
.jpeg)